The crunch of the snow is always a tell-tale sign of frigid temps. Living in the Midwest you learn these signs; the frost on the inside window panes, the steam rising from the waterers, all to say that it may be better to dress with an extra layer for the day. It was the start of a typical winter morning at Acres. The horses nickered as they ate their morning grain and volunteers bustled about making sure each of our critter team had what they needed for the blustery day. However, one of our critter friends seemed to have a not so pleasant start to their morning…
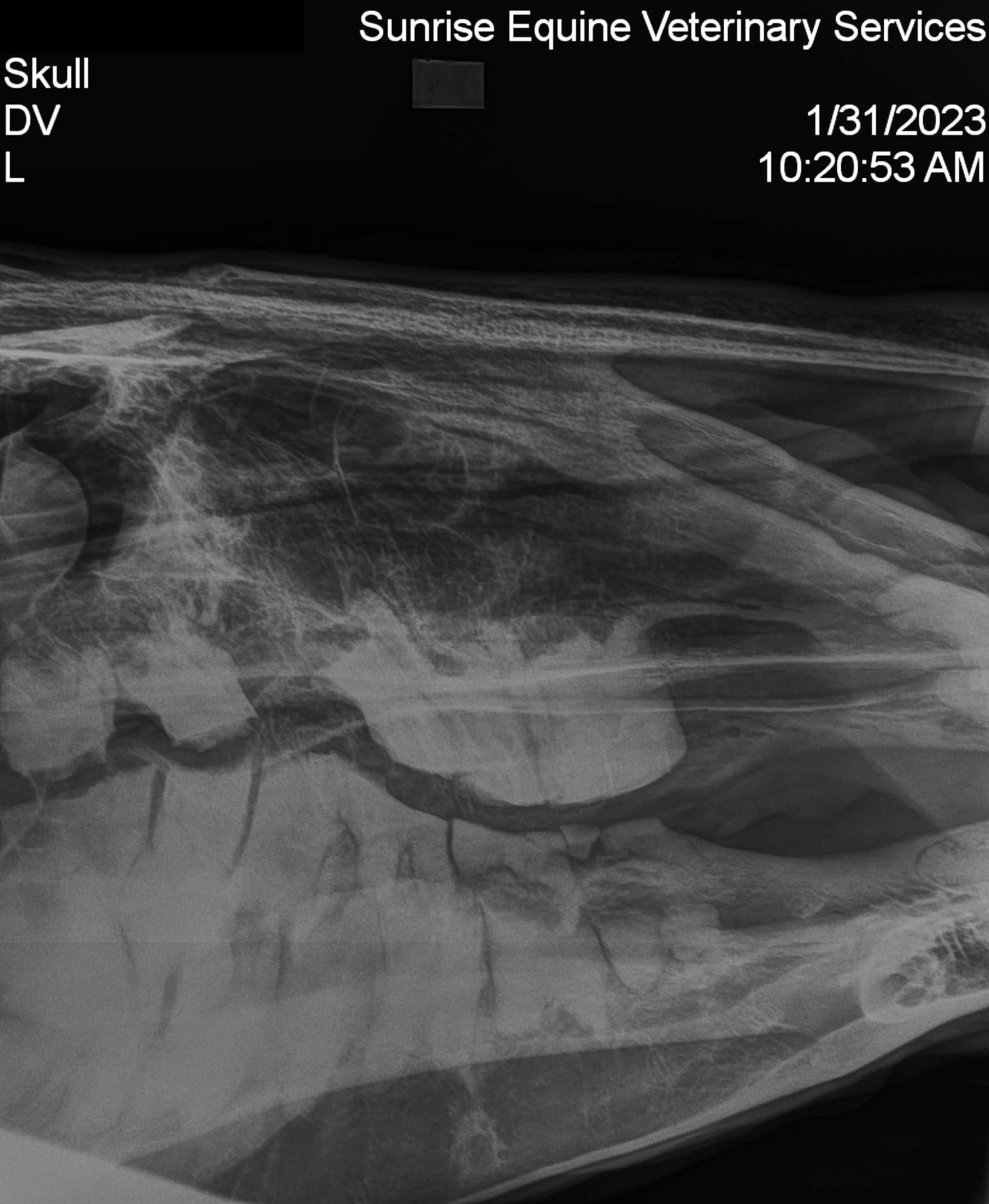
After entering the pasture to throw hay, a volunteer spotted one of our furry team members with blood on their nose. Moving closer and upon further inspection, their nose and surrounding eye socket appeared to be swollen and tender with touch. They gently guided him towards the barn and into his stall to examine a little closer, grateful for the shelter and warmth during the process. He showed us, without words, that he was uncomfortable, his eyes seeming to say, “Something’s wrong, I need your help.” We listened to him and heard his need, calling our good friends at Sunrise Equine for their expertise. There’s a saying I’ve heard of when you have to call the vet that goes “only one of you gets to panic and it’s never your turn.” We spent time speaking comforting words to our pal and ourselves while we waited. Our incredible veterinary team arrived shortly thereafter with Dr. Delaney confirming our furry team member was right and that something was indeed wrong. After many x-rays and examinations it was discovered that our friend had a facial fracture and would need to be separated from his herd in order to spend time healing and recovering without further injury risk. The team moved deftly into action, one team member clearing snow from a space with a bobcat and ensuring proper fencing for a safe recovery area, another spending time with our furry teammate while he recovered from sedation medication, and yet another devising a nutrition plan to feed him while being wary of his pain and limited movement.
Fluidly, the team came together and met his needs while simultaneously continuing the day’s activities. I can’t help but think that if one of our team members had not paused to check in with each of the horses during the morning routine, our friend’s injury may have gone undetected for longer. Waves of gratitude, shame, and guilt creep in. I should have spent more time with them. Why didn’t I see this? I should have spent more time checking the fence. How could this have happened? What’s going to happen next? These are just some of the questions that plague the mind in the whirlwind of a crisis. Caught in the middle of this chaos it can be easy to lean into the panic and worry, anxiety easily conjuring 99 possibilities of what could be wrong and shame beating you up from inside. Observing our team shift into action and calmly subdue this crisis was a steadying reminder that we are capable. Capable of overcoming obstacles, enduring uncomfortable emotions, and thriving as a team. Trusting the knowledge & skills of our vet team and breathing out the worries helped us to come together as one and believe that we (and he) would make it through this. Pause, Breathe, Believe is more than just a tag line-it can help us access the power to thaw when it feels like we are frozen.
Unexpected medical events like these are often costly. If you feel called to donate towards these costs, please visit our website here






